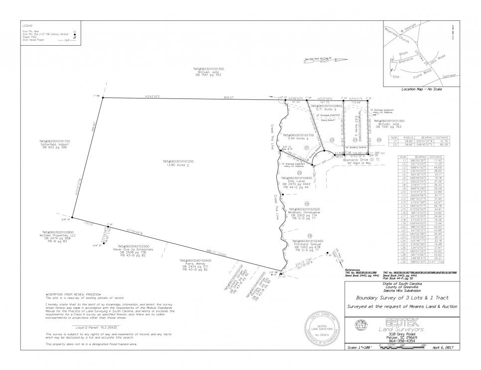
Property Information: This property is located off Highway 25 South (Augusta Road) near the Ware Place. It features a large open tract of land and three (3) builder lots in Dakota Hills subdivision. The builder lots are located adjacent to 137 Bismark Drive, Pelzer, SC 29669. See attached survey for more information about the layout of the property - this will be sold individually and then added all together in the event one bidder would like to buy the entirety. Properties sell subject to seller confirmation of the high bid on auction day!
Greenville County Tax Maps:
- #0603.01-01-027.00
- 0603.01-01-028.00
- 0603.01-01-029.00
- 0603.01-01-012.00
Auction Contact: Darron Meares, MBA, CAI, MPPA - SCAL 3737 - 864-444-5361
Broker Contact: Larry Meares, CAI, BIC - SCAL 109
Auction Terms for Dakota Hills property:
- Auctioneer is representing the Seller only in this transaction
- Property is being sold AS-IS with no warranties or guarantees express or implied.
- Seller will pay property taxes to date of closing, and any outstanding liens.
- Buyer pays all other closing costs including, but not limited to, attorney fees, deed preparation, deed recording, survey (if needed), title insurance, mortgage points and any other fees to close the transaction.
- At the close of bidding and acceptance of the high bid by the Seller, a ten percent (10%) buyer’s premium wll be added to the high bid to arrive at the contract sales price.
- High bidder will pay a nonrefundable escrow deposit into Auctioneer’s escrow account on auction day based on the following:
- Two thousand five hundred dollars ($2,500.00) per builder lot on Bismark Drive, if sold individually.
- Five thousand dollars ($5,000.00) on 13+/- acre tract, if sold individually.
- Seven thousand five hundred dollars ($7,500.00) on the entirety of Bismark properties and 13+/- acre tract.
- Balance of funds due at closing within 30 days of auction date.
Please note: This auction is not subject to any contingencies for land improvement, financing or appraisals. You are buying this property as it sits, so bid your price on auction day!





