Auction Type: Live onsite auction with online simulcast bidding
Auction Date/Time: Friday, February 1 at 12:00 pm
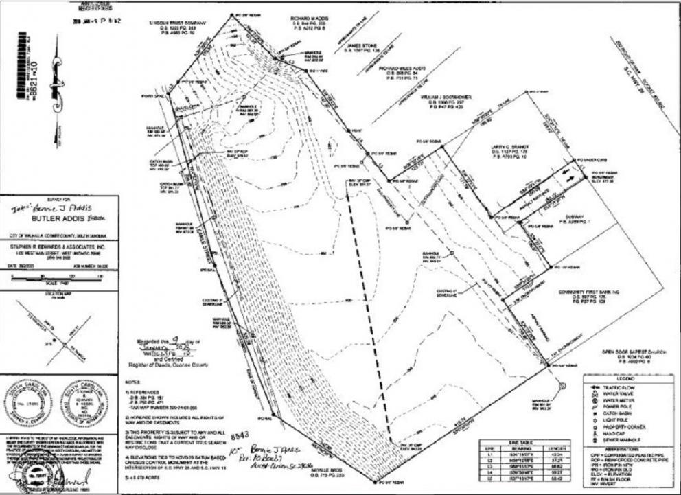
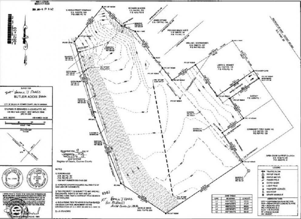
Description: Per recorded survey dated 09/02/2005, two combined parcels total approximately 8.979 acres of land situated in a commercial area of Walhalla. Electric, natural gas, public water, and public sewer accessible. Access via a paved drive from Hwy 28/Blue Ridge Blvd with a 2017 traffic count of 11,200. Earle Street borders the property on the west with 676 feet of road frontage.
Contacts:
- Darron Meares, BIC - 864-444-5361
- Nichole Desko - 864-843-5919
SC Auction Firm License 4109
Online Terms: Information can be found on the bidding link provided. The terms and conditions must be agreed to prior to receiving a bid number.
Onsite Terms:
- The property is sold with seller confirmation of the high bid.
- The property is being sold AS-IS with no warranties or guarantees express or implied.
- Seller will pay property taxes prorated to the date of closing.
- Buyer(s) will pay all other closing costs including but not limited to, attorneys fees, preparation of the deed, recording stamps, title search, $350 transactional fee and any additional fees associated with the closing.
- Buyer’s Premium applies – 10% onsite or 11% online
- Nonrefundable Escrow Deposit of $10,000.00 will be due on the day of auction - amount deposited will be deducted from contract sales price at closing, which will happen within 30 days of signing.
- This auction is not subject to any contingencies, financing, or appraisal.
- Seller makes no warranty, express or implied, as to the title of the property or zoning of the property except as warranted by its deed.
- Announcements made the day of auction take precedence over any previous announcements or advertisements











