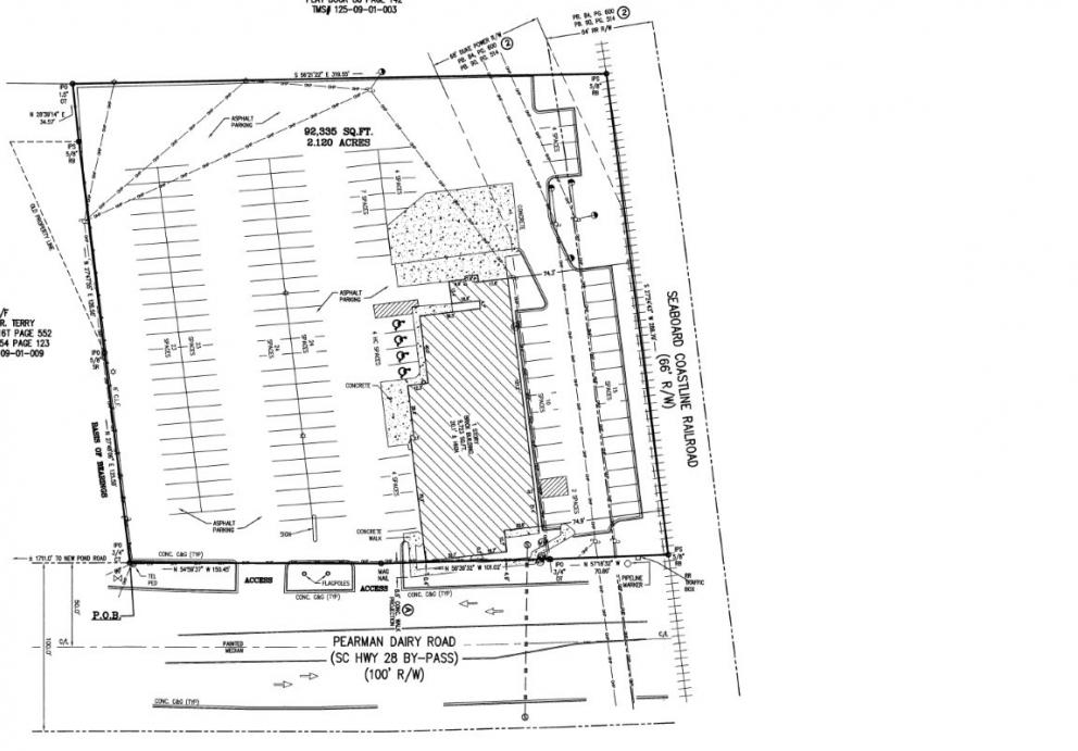
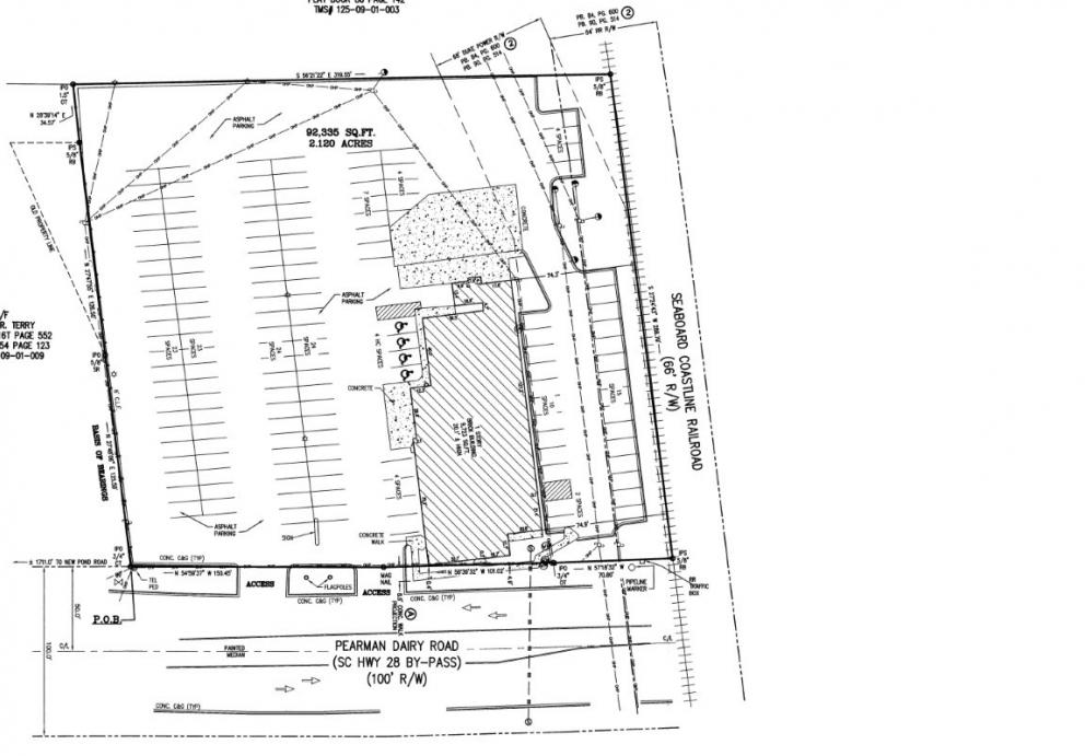
Former Ryan’s Steakhouse on Highway 28 Bypass in Anderson. Per a survey dated 08/23/2006, this parcel consists of a +/-9,723 square foot restaurant on +/-2.12 acres. Located at the corner of SC Highway 28 Bypass (Pearman Dairy Road) and US-29 S (Shockley Ferry Road) with approximately 300 feet of road frontage. Brick and block construction with abundant windows throughout the dining area. Marquee signage in the parking lot with over 140 parking spaces available.
Auction Type: Live onsite auction with online simulcast bidding
Preview Date: Friday, October 18, 2019, beginning at 11:00 a.m.
Auction Date: Friday, October 18, 2019, beginning at 12:00 p.m. - the property will be sold at the location
Buyer's Premium: ZERO ONSITE, only 1% online
Building SF: 9,723 +/-
Acreage: 2.12 acres +/-
2018 SC DOT Traffic Count: 19,100
MLS Links:
- GGAR MLS: 1401841
- WUAR MLS: 20221214
Contact:
- Darron Meares, BIC - 864-642-2196
- Nichole Desko, REALTOR - 864-843-5919
- Meares Property Advisors is representing the seller only in this transaction. We welcome offers prior to auction day and are paying cooperating brokers/agents 3% commission (3.5% commission if representing the high bidder on the day of auction).
- This property is being offered subject to seller confirmation of the high bid on auction day.
- Zero Onsite Buyer’s Premium, only 1% online buyer’s premium. Final high bid price, upon seller confirmation, on auction day will be the contract sale price (plus 1% if bidding online).
- The winning bidder is required to deposit twenty-five thousand dollars ($25,000.00) into closing attorney’s escrow account on the day of auction (escrow deposit will be deducted from amount due at closing).
- Closing to take place within thirty (30) days of contract signing.
- This property is being sold AS-IS with no warranties or guarantees, express or implied, and with all faults. Seller makes no warranty, express or implied, as to the title of the property or zoning of the property except as warranted by its deed.
- Property will be transferred via a Quit Claim deed.
- Seller will pay any outstanding liens on the property and property taxes to date of closing.
- Buyer will pay all other closing costs, including, but not limited to: attorney fees, deed preparation, deed recording, survey (if required), mortgage fees, or any other fees or expenses required to close the transaction.
- Sale of property is not subject to any contingencies, financing, or appraisal.
- Announcements made the day of auction take precedence over any previous announcements or advertisements.






















